茶叶病虫害监测预警
峨眉山茶历史悠久,地处川茶“C”字核心区,现有优质茶园23.22万亩,年产干茶2.38万吨,年综合产值145亿元,80%以上的茶园分布在海拔800米至1500米的群山幽谷,雨量充沛、云雾缭绕的自然环境适宜茶树的生长,被国际茶叶委员会授予“世界绿茶黄金产区”的称号。
今年我市春季气温回升较快、时晴时雨,田间温暖湿润的气候有利于茶叶虫害繁殖。据农业农村局技术人员调查,目前我市部分地区茶叶黑刺粉虱、茶尺蠖、茶黄螨以及蚧壳虫均有发生,其中黑刺粉虱、茶尺蠖和茶黄螨发生较为严重。
黑刺粉虱
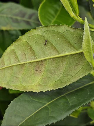
黑刺粉虱在春季采摘期间极易发生危害。其成虫和若虫群集在茶树新梢的叶片背面刺吸取食汁液,导致叶片受害后形成黄斑。受害茶树抽发的枝叶少且短小,叶片失去光泽,严重时叶片干枯、脱落,树势衰弱。除了直接吸食植物汁液外,黑刺粉虱还能传播植物病毒,引起茶叶病毒病的暴发。黑刺粉虱的排泄物覆盖在叶片表面,易诱发某些真菌浸染而发生煤污病,影响叶片的光合作用,使枝叶变黑枯死。
防治措施:及时分批采摘嫩叶,切断害虫食物来源;加强茶园管理,疏枝清园,促进茶园通风透光以抑制其发生。越冬代成虫羽化始盛期,使用全降解诱虫板诱杀成虫。第1代幼虫孵化盛期,可喷施溴氰菊酯、联苯·噻虫嗪、联苯·噻虫啉等药剂。在越冬虫口偏高田块可用石硫合剂、矿物油等进行冬季封园。


黑刺粉虱形态图

黑刺粉虱发生情况及危害症状
茶尺蠖
茶尺蠖是茶树的主要害虫之一,一年可发生多代,不同季节均能对茶树造成危害。由于其发生代数多、繁殖速度快,容易迅速蔓延并暴发成灾。其低龄幼虫啃食嫩叶边缘,形成网状半透明膜斑。高龄幼虫取食叶片,形成“C”形缺刻。其幼虫食量大,可在短时间内造成严重损害。在发生严重时,幼虫会将茶树新梢和老叶吃成光秃,仅留下秃枝,状如火烧,严重影响茶树的生长和茶叶的产量。目前茶尺蠖对某些农药已表现出较强的抗性,增加了防治的难度。
防治措施:结合茶园秋季中耕施肥,翻耕土壤,降低土中越冬虫蛹的成活率。在灰茶尺蠖(茶尺蠖)常发茶园安装诱虫灯,羽化高峰期开灯诱杀成虫;在灰茶尺蠖(茶尺蠖)成虫羽化期,放置性信息素诱捕器诱杀雄虫。保护和利用茶尺蠖绒茧蜂、单白绵绒茧蜂、蜘蛛类等重要天敌。防治适期宜掌握在第1、2代或5、6代的低龄幼虫期。防治药剂可选用甘蓝夜蛾核型多角体病毒、金龟子绿僵菌CQMa421、苏云金杆菌、茶核·苏云金、短稳杆菌、苦参碱、高效氯氰菊酯等。


茶尺蠖形态图


茶尺蠖发生情况及危害症状
茶黄螨
茶黄螨也称多食跗线螨,其幼螨和成螨会集中在茶叶幼嫩的叶片背面吸食汁液,造成叶片畸形、生长缓慢,严重时茶叶顶部干枯。受害叶片可能会出现变小、增厚、卷曲等症状,其颜色加重,背面变为黄褐色或灰色。茶黄螨的侵害会导致植株生长停滞,植株矮小,严重时可造成植株早衰。
防治措施:清除田间杂草,减少虫源。使用巴氏钝绥螨、巴氏新小绥螨等捕食螨进行防治。在初发期使用藜芦根茎提取物、阿维菌素、虫螨腈、速螨酮、哒螨·茚虫威等药剂喷施。


茶黄螨发生情况及危害症状
蚧壳虫
蚧壳虫是茶树上常见的害虫,成虫和若虫吸取茶树叶片汁液,导致受害叶片由绿色变为灰绿色,最后变为黄色,严重时叶片干枯脱落。蚧壳虫危害茶树嫩梢会导致新芽生长受阻,芽梢呈现枯焦状。蚧壳虫分泌的蜜露(排泄物)会吸引霉菌,诱发煤污病,影响作物的光合作用。严重受害时,茶树的枝叶上布满蚧壳虫,造成全株枯黄致死。蚧壳虫分泌蜡质形成介壳,这些介壳覆盖在植物表面,影响植物的正常生长。并且由于蚧壳虫体外有蜡质覆盖物,化学药剂防治效果较差。
防治措施:修剪严重受害的枝条,减少虫口。保护自然界瓢虫、寄生蜂等天敌昆虫。在若虫期喷施螺虫乙酯+呋虫胺+有机硅进行防治。


蚧壳虫发生情况及危害症状
各种植户需引起高度重视,在当地农技人员的指导下,抓住病虫害防控关键时节,切实做好茶叶病虫害的预防工作,严防茶叶病虫害扩散蔓延造成重大危害,保障收益。
主办:峨眉山市人民政府办公室 技术电话:0833-5521607
网站标识码:5111810008 蜀ICP备05015831号-1
川公网安备 51118102000149号